Opis nieruchomości
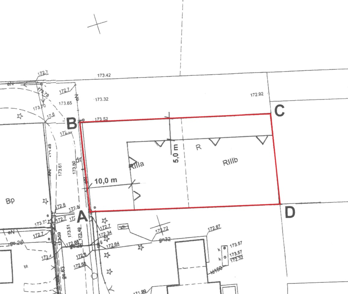
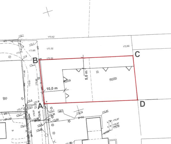
- OGÓLNIE: kształtna narożna działka budowlana na Złotnie, w rejonie ulicy Huta Jagodnica, media - woda, prąd - dostępne z ulicy, aktualna decyzja wz - można od razu wystąpić o pozwolenie na budowę !!!- KSZTAŁT/WYMIARY DZIAŁKI: prostokąta o wymiarach 21,2 x 44,5 m,
- STRONA ŚWIATA OD WJAZDU: zach lub płn.
- UKSZTAŁTOWANIE TERENU: działka z lekkim spadkiem w kierunku rzeczki, tj. w kierunku wsch.,
- PRZEZNACZENIE: brak miejscowego planu zagospodarowania przestrzennego, jest aktualna decyzja wz na budowę domu jednorodzinnego (szczegóły w biurze), podstawowe parametry:
- nieprzekraczalna linia zabudowy 5m od północnej granicy działki i 10m od zach granicy działki - patrz mapkę załącznik do decyzji wz,
- wskaźnik powierzchni zabudowy w stosunku do powierzchni działki od 0,02 do 0,14 - powierzchnia zabudowy planowanego domu nie więcej niż 135m,
- szerokość elewacji frontowej od zachodniej granicy działki 0d 9 do 14m,
- wysokość górnej krawędzi elewacji frontowej do 4m.
- UZBROJENIE TERENU: media - prąd przy działce - skrzynka, woda w ulicy ok. 30m od granicy działki,
- OGRODZENIE: działka nieogrodzona, ogrodzona jest zabudowana działka sąsiednia od strony południowej,
- ZABUDOWA: brak,
- NASADZENIA: nieliczne samosiejki,
- OTOCZENIE/STAN ZURBANIZOWANIA: działka zlokalizowana na osiedlu Złotno, w otoczeniu przeważnie nowe domy, w sąsiedztwie od strony południowej duża działka z nowym domem jednorodzinnym, po drugiej stronie ulicy od strony północnej obecnie tereny upraw rolnych, ale prawdopodobnie będzie tam osiedle małych segmentów, od strony wschodniej działki niezabudowane, za nimi w odległości, ok. 150m rzeczka Jasieniec,
- DOJAZD: dojazd drogą asfaltową ul. Huta Jagodnica, ostatnie ok. 200m droga utwardzona szutrowa,
- KOMUNIKACJA: miejska komunikacja autobusowa w ul. Złotno ok. 1000m od działki, szybki dojazd do trasy S-14 (węzeł Konstantynów),
- UWAGA ! Oferty prezentowane na naszych stronach nie stanowią oferty w rozumieniu Kodeksu Cywilnego, a są jedynie zaproszeniem do rokowań. Podane dane mają charakter wyłącznie informacyjny i mogą odbiegać od stanu faktycznego. Opis obiektu został sporządzony na podstawie informacji przekazanych przez Oferującego. Oferta może być już nieaktualna. Prosimy o telefon.
Nota prawna
Opis oferty zawarty na stronie internetowej sporządzany jest na podstawie oględzin nieruchomości oraz informacji uzyskanych od właściciela, może podlegać aktualizacji i nie stanowi oferty określonej w art. 66 i następnych K.C.Szczegóły



